Kompostmaur
Sist endret
Kompostmauren (Hypoponera punctatissima) foretrekker høyere utetemperaturer enn vi har her i landet og kan kun klare seg i bygninger, komposthauger, søppelhauger eller andre steder med forhøyede temperaturer. I Norge finnes den normalt på Østlandet, men er forventet å ha en noe større utbredelse. Kompostmauren gjør ingen materiell skade, men kan gi et smertefullt stikk.
Hvordan ser kompostmauren ut?
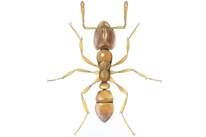
Kompostmauren (Hypoponera punctatissima) er gulbrun til rødbrun i farge, og arbeiderne er 2,5-3 mm lange. De har en tydelig innsnøring mellom første og andre bakkroppsledd, og stikkebrodden er synlig bakerst på kroppen (Figur 1). Hannene til kompostmauren har ikke vinger og minner om en stor arbeider (3,4-3,6 mm). Dronningen er omtrent like store som hannene og har vinger.
Biologi og levevis
Kompostmauren stammer sannsynligvis fra østlige deler av Europa eller Afrika, men har spredd seg til store deler av verden. Den er avhengig av relativt høye temperaturer, og i nordlige områder er den spesielt knyttet til råtnende organisk materiale. Varme kompostbinger, søppeldynger, hauger av sagmugg og hestemøkk er typiske oppholdssteder. De kan holde til innendørs i drivhus, gartnerier, næringsmiddelbedrifter eller andre oppvarmete og fuktige lokaler. Kompostmauren er i hovedsak rovdyr og spiser små leddyr. Svermingen foregår i august-september, og det er de vingede dronningene som gjerne kommer i kontakt med mennesker. Ved innendørs funn bør man vurdere om det kan være snakk om andre og importerte arter. De siste årene har det dukket opp en del tilfeller av slike spesielle importtilfeller med etableringer av kolonier innendørs.
Skadepotensiale
Fordi kompostmauren er et rovdyr, har den vanskeligere for å etablere seg innendørs enn for eksempel faraomauren. Den kan imidlertid bli tallrik i enkelte næringsmiddelbedrifter forutsatt at det også er rikelig med byttedyr der. Kompostmaur gjør ikke skade på boliger, men den kan gi et smertefullt stikk og hevelse i huden rundt stikket. Det er særlig under svermingen at maurene kommer i kontakt med mennesker og kan stikke.
Bekjempning
Det vil normalt ikke være aktuelt å bekjempe reir av kompostmauren.